12LET
Odhadnout cenu

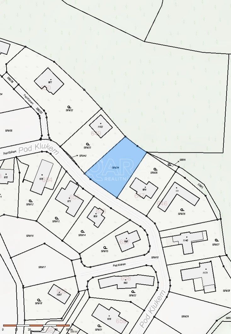
Prodej stavebního pozemku 1037m2, Hýskov, okr. Beroun

Pozemek, bydlení

Plocha parcely 1 037 m2 Hýskov

Nabízíme k prodeji velmi pěkný stavební pozemek v žádané lokalitě v blízkosti města Beroun v obci Hýskov v ulici pod Klukem. Pozemek má ideální výměru a to 1037 m2.

Součástí prodeje předmětného pozemku je také vydané platné stavební povolení včetně kompletní projektové dokumentace na moderní rodinný dům.

Pozemek je kompletně oplocený ze všech stran, kompletně zasíťován v rozsahu elektrická přípojka, obecní vodovod, kanalizace a plyn, vše ukončena přímo na pozemku v pilířích.

Zobrazit celý text

Hýskov je obec v okrese Beroun ve Středočeském kraji, 4 km severozápadně od Berouna. Leží v údolí řeky Berounky, na jejím levém břehu, uprostřed lesnaté krajiny.

Nemovitost je možné financovat hypotéčním úvěrem.

V případě dotazů kontaktujte makléře

10 400 000

s provizí RK

Cena včetně právního i realitního servisu.

ID zakázky 10022188
Typ nemovitosti Pozemek, bydlení
Plocha parcely 1 037 m2
Lokalita Hýskov
Doprava Vlak, Silnice, Autobus

Nejnovější nemovitosti v mé nabídce

Prodej rodinného domu 233 m2 s pozemkem 401 m2, Praha 6, Suchdol

  • Aktivní
  • Jen u nás
Dispozice Rodinný dům
Lokalita Praha, Suchdol, Stržná
Cena 16 500 000

Prodej bytu 1+1, 40 m2, Kladno

  • Aktivní
  • Jen u nás
Dispozice 1+1
Lokalita Kladno, Kročehlavy, P. Holého
Cena 4 390 000

Prodej domu 297 m2 s pozemkem 2555 m2, Nová Živohošť, Křečovice

Dispozice Rodinný dům
Lokalita Křečovice, Živohošť
Cena 16 990 000
Zobrazit všechny nemovitosti

Napište si o další informace